注册帐号丨忘记密码?
1.点击网站首页右上角的“充值”按钮可以为您的帐号充值
2.可选择不同档位的充值金额,充值后按篇按本计费
3.充值成功后即可购买网站上的任意文章或杂志的电子版
4.购买后文章、杂志可在个人中心的订阅/零买找到
5.登陆后可阅读免费专区的精彩内容
打开文本图片集
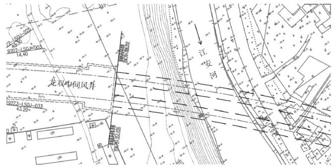
【中图分类号】 U455.43
【文献标志码】 A
0 引言
近年来,随着城市轨道交通的快速发展,地铁建设中需要盾构掘进下穿河流构建筑物的情况逐渐增多,在实际下穿施工过程中出现的施工难题也在逐步显现[1]。同时在砂卵石地层中,因其具有高渗透性和低粘聚力,在该地层中进行盾构施工存在较高的掌子面喷涌及管片渗漏水风险[2]。(剩余6950字)
登录龙源期刊网
购买文章
全断面砂卵石地层大直径盾构下穿河流施工技术
文章价格:5.00元
当前余额:100.00
阅读
您目前是文章会员,阅读数共:0篇
剩余阅读数:0篇
阅读有效期:0001-1-1 0:00:00